ที่ดินบ้านเป็ด ขอนแก่น, ขอนแก่น
บ้านเป็ด, เมืองขอนแก่น, ขอนแก่น
฿800,000
196
ตร.ม. (ขนาดที่ดิน)
฿ 4,082
/ ตารางเมตร (ขนาดที่ดิน)

รูปถ่าย

ดูบนแผนที่
เกี่ยวกับคุณสมบัตินี้
ขายที่ดิน เนื้อที่ 49.7 ตารางวา ต.บ้านเป็ด ขอนแก่น
ที่ดิน : บ้านเป็ด ขอนแก่น
ที่ตั้ง : ต.บ้านเป็ด อ.เมืองขอนแก่น จ.ขอนแก่น
รหัสทรัพย์ : T-135372
ประเภท : ที่ดิน
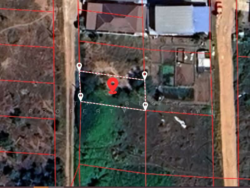
เนื้อที่ : 49.7 ตารางวา
กว้าง : 9.50 เมตร ลึก : 20.50 เมตร
ทิศ : ตะวันตก
รายละเอียดเพิ่มเติม : ที่ดินทำเลดี บ้านเป็ด ร.8 ใกล้สนามบินขอนแก่น
ทำเลเงียบสงบ เดินทางสะดวก เหมาะสร้างบ้านพักอาศัย
บ้านสวน หรือซื้อเก็บลงทุนในอนาคต พื้นที่กำลังพัฒนา ใกล้ตัวเมืองขอนแก่น
จุดเด่นทำเล
บรรยากาศดี รอบข้างเป็นชุมชนและพื้นที่ธรรมชาติ
เข้าออกได้หลายเส้นทาง เดินทางสะดวก
เหมาะสร้างบ้าน บ้านสวน หรือซื้อเก็บลงทุน
สถานที่ใกล้เคียง
สนามบินนานาชาติขอนแก่น ประมาณ 3 นาที
Black Canyon สนามบินขอนแก่น ประมาณ 4 นาที
โรงพยาบาลศรีนครินทร์ ประมาณ 12 นาที
มหาวิทยาลัยขอนแก่น ประมาณ 12 นาที
ตลาด 62 บล็อก มข. ประมาณ 10 นาที
บึงทุ่งสร้าง ประมาณ 15 นาที
ตัวเมืองขอนแก่น ประมาณ 15 นาที
ราคา : 800,000 บาท
ลิงค์แผนที่ : www.h***** ,102. 7*****
**เรามีบริการจัดสินเชื่อให้ฟรี พร้อมยินดีให้คำปรึกษา มีให้เลือกทุกธนาคาร**
**พร้อมอัตราดอกเบี้ยพิเศษ และ วงเงินสูงสุด 90-100% ของราคาประเมิน**
สนใจสอบถามข้อมูลเพิ่มเติม หรือ นัดชมบ้านได้ที่
Tel : 0***** โมทย์ (รหัสตัวแทน 6087)
Line ID : motaya2020
Tel : 0***** ตุ๊กตา (รหัสตัวแทน 6087-1)
Line ID : 0*****
Callcenter : 0*****
สนใจดูทรัพย์อื่นๆ เพิ่มเติม มากกว่า 3,000 รายการ
www.w*****
The Best Property Agent CO,.LTD. ผู้นำด้านธุรกิจนายหน้า ตัวแทนอสังหาริมทรัพย์ครบวงจร ด้วยความเป็นมืออาชีพ ใช้เทคโนโลยี และ นวัตกรรมที่สร้างสรรค์ เพื่อส่งมอบบริการที่ดีที่สุดเพื่อคุณ ให้บริการด้าน ซื้อ ขาย เช่า อสังหาริมทรัพย์
ที่ตั้ง : ต.บ้านเป็ด อ.เมืองขอนแก่น จ.ขอนแก่น
รหัสทรัพย์ : T-135372
ประเภท : ที่ดิน
เนื้อที่ : 49.7 ตารางวา
กว้าง : 9.50 เมตร ลึก : 20.50 เมตร
ทิศ : ตะวันตก
รายละเอียดเพิ่มเติม : ที่ดินทำเลดี บ้านเป็ด ร.8 ใกล้สนามบินขอนแก่น
ทำเลเงียบสงบ เดินทางสะดวก เหมาะสร้างบ้านพักอาศัย
บ้านสวน หรือซื้อเก็บลงทุนในอนาคต พื้นที่กำลังพัฒนา ใกล้ตัวเมืองขอนแก่น
จุดเด่นทำเล
บรรยากาศดี รอบข้างเป็นชุมชนและพื้นที่ธรรมชาติ
เข้าออกได้หลายเส้นทาง เดินทางสะดวก
เหมาะสร้างบ้าน บ้านสวน หรือซื้อเก็บลงทุน
สถานที่ใกล้เคียง
สนามบินนานาชาติขอนแก่น ประมาณ 3 นาที
Black Canyon สนามบินขอนแก่น ประมาณ 4 นาที
โรงพยาบาลศรีนครินทร์ ประมาณ 12 นาที
มหาวิทยาลัยขอนแก่น ประมาณ 12 นาที
ตลาด 62 บล็อก มข. ประมาณ 10 นาที
บึงทุ่งสร้าง ประมาณ 15 นาที
ตัวเมืองขอนแก่น ประมาณ 15 นาที
ราคา : 800,000 บาท
ลิงค์แผนที่ : www.h***** ,102. 7*****
**เรามีบริการจัดสินเชื่อให้ฟรี พร้อมยินดีให้คำปรึกษา มีให้เลือกทุกธนาคาร**
**พร้อมอัตราดอกเบี้ยพิเศษ และ วงเงินสูงสุด 90-100% ของราคาประเมิน**
สนใจสอบถามข้อมูลเพิ่มเติม หรือ นัดชมบ้านได้ที่
Tel : 0***** โมทย์ (รหัสตัวแทน 6087)
Line ID : motaya2020
Tel : 0***** ตุ๊กตา (รหัสตัวแทน 6087-1)
Line ID : 0*****
Callcenter : 0*****
สนใจดูทรัพย์อื่นๆ เพิ่มเติม มากกว่า 3,000 รายการ
www.w*****
The Best Property Agent CO,.LTD. ผู้นำด้านธุรกิจนายหน้า ตัวแทนอสังหาริมทรัพย์ครบวงจร ด้วยความเป็นมืออาชีพ ใช้เทคโนโลยี และ นวัตกรรมที่สร้างสรรค์ เพื่อส่งมอบบริการที่ดีที่สุดเพื่อคุณ ให้บริการด้าน ซื้อ ขาย เช่า อสังหาริมทรัพย์
ยอดสินเชื่อโดยประมาณ
รายละเอียดสินเชื่อ
ยอดสินเชื่อที่ต้องชำระต่อเดือนโดยประมาณ
฿ 0 / เดือน
฿ 0 เงินต้น
฿ 0 ดอกเบี้ย
ค่าใช้จ่ายที่อาจต้องมีเบื้องต้น
เงินดาวน์ทั้งหมด
฿ 0
เงินดาวน์
จำนวนสินเชื่อ ฿ 0 ในอัตรา 0% ของสินเชื่อต่อราคาบ้าน (Loan-to-value)
อสังหาฯ แนะนำ
คำถามที่พบบ่อย
ราคาขายของยูนิต ที่ดินบ้านเป็ด ขอนแก่น อยู่ที่ ฿800,000.
ราคาซื้อต่อ ตร.ม. ของ ที่ดินบ้านเป็ด ขอนแก่น อยู่ที่ ฿4,082 / ตารางเมตร.
Tจำนวนที่ต้องชำระหนี้ของยูนิต ที่ดินบ้านเป็ด ขอนแก่น โดยประมาณคือ ฿ 2,360 / เดือน ต่อเดือน.
ที่ดินบ้านเป็ด ขอนแก่น ตั้งอยู่ที่ บ้านเป็ด, เมืองขอนแก่น, ขอนแก่น บ้านเป็ด เมืองขอนแก่น ขอนแก่น.
ค้นหาประกาศอื่นรอบๆ บ้านเป็ด
จากสิ่งที่คุณค้นหา คุณอาจจะสนใจตัวเลือกต่อไปนี้
ขายที่ดิน
















