ธารทอง 2 บางบัวทอง, นนทบุรี
บางรักใหญ่, บางบัวทอง, นนทบุรี
฿1,200,000
240
ตร.ม. (ขนาดที่ดิน)
฿ 5,000
/ ตารางเมตร (ขนาดที่ดิน)

รูปถ่าย

ดูบนแผนที่
เกี่ยวกับคุณสมบัตินี้
ขายที่ดิน เนื้อที่ 60 ตร.วา หมู่บ้านธารทอง 2 บางบัวทอง นนทบุรี
โครงการ : ธารทอง 2 บางบัวทอง
ที่ตั้ง : ถ.กาญจนาภิเษก ต.บางรักใหญ่ อ.บางบัวทอง จ.นนทบุรี
รหัสทรัพย์ : T-136159
ประเภท : ที่ดิน
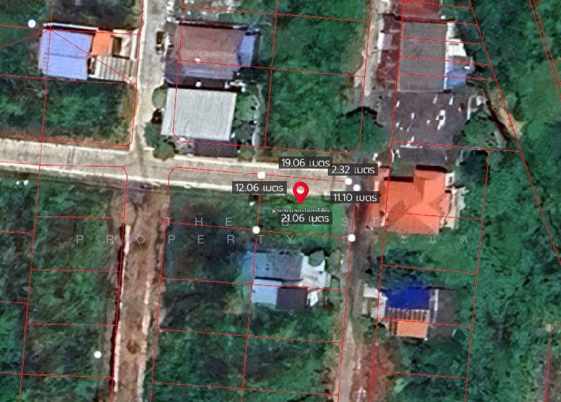
เนื้อที่ : 60.0 ตารางวา
กว้าง : 19.00 เมตร ลึก : 12.00 เมตร
ทิศ : ตะวันออกเฉียงเหนือ
รายละเอียดเพิ่มเติม :
ที่ดินแปลงมุม รูปแปลงสี่เหลี่ยม ถนนเข้าถึง อยู่ในชุมชนไม่เปลี่ยว
เหมาะกับสร้างบ้านอยู่อาศัย ซื้อเก็บเก็งกำไร ทำบ้านเช่า/ปล่อยต่อ
สถานที่ใกล้เคียง
• ถนนกาญจนาภิเษก
• MRT คลองบางไผ่
• Central WestGate
• Big C บางใหญ่
• ตลาดบางบัวทอง
ราคา : 1,200,000 บาท
ลิงค์แผนที่ : www.h***** ,100. 3*****
**เรามีบริการจัดสินเชื่อให้ฟรี พร้อมยินดีให้คำปรึกษา มีให้เลือกทุกธนาคาร**
**พร้อมอัตราดอกเบี้ยพิเศษ และ วงเงินสูงสุด 90-100% ของราคาประเมิน**
สนใจสอบถามข้อมูลเพิ่มเติม หรือ นัดชมบ้านได้ที่
Tel : 0***** กระแต (รหัสตัวแทน 6812)
Line ID : kt4565
Callcenter : 0*****
สนใจดูทรัพย์อื่นๆ เพิ่มเติม มากกว่า 3,000 รายการ
www.w*****
The Best Property Agent CO,.LTD. ผู้นำด้านธุรกิจนายหน้า ตัวแทนอสังหาริมทรัพย์ครบวงจร ด้วยความเป็นมืออาชีพ ใช้เทคโนโลยี และ นวัตกรรมที่สร้างสรรค์ เพื่อส่งมอบบริการที่ดีที่สุดเพื่อคุณ ให้บริการด้าน ซื้อ ขาย เช่า อสังหาริมทรัพย์
ที่ตั้ง : ถ.กาญจนาภิเษก ต.บางรักใหญ่ อ.บางบัวทอง จ.นนทบุรี
รหัสทรัพย์ : T-136159
ประเภท : ที่ดิน
เนื้อที่ : 60.0 ตารางวา
กว้าง : 19.00 เมตร ลึก : 12.00 เมตร
ทิศ : ตะวันออกเฉียงเหนือ
รายละเอียดเพิ่มเติม :
ที่ดินแปลงมุม รูปแปลงสี่เหลี่ยม ถนนเข้าถึง อยู่ในชุมชนไม่เปลี่ยว
เหมาะกับสร้างบ้านอยู่อาศัย ซื้อเก็บเก็งกำไร ทำบ้านเช่า/ปล่อยต่อ
สถานที่ใกล้เคียง
• ถนนกาญจนาภิเษก
• MRT คลองบางไผ่
• Central WestGate
• Big C บางใหญ่
• ตลาดบางบัวทอง
ราคา : 1,200,000 บาท
ลิงค์แผนที่ : www.h***** ,100. 3*****
**เรามีบริการจัดสินเชื่อให้ฟรี พร้อมยินดีให้คำปรึกษา มีให้เลือกทุกธนาคาร**
**พร้อมอัตราดอกเบี้ยพิเศษ และ วงเงินสูงสุด 90-100% ของราคาประเมิน**
สนใจสอบถามข้อมูลเพิ่มเติม หรือ นัดชมบ้านได้ที่
Tel : 0***** กระแต (รหัสตัวแทน 6812)
Line ID : kt4565
Callcenter : 0*****
สนใจดูทรัพย์อื่นๆ เพิ่มเติม มากกว่า 3,000 รายการ
www.w*****
The Best Property Agent CO,.LTD. ผู้นำด้านธุรกิจนายหน้า ตัวแทนอสังหาริมทรัพย์ครบวงจร ด้วยความเป็นมืออาชีพ ใช้เทคโนโลยี และ นวัตกรรมที่สร้างสรรค์ เพื่อส่งมอบบริการที่ดีที่สุดเพื่อคุณ ให้บริการด้าน ซื้อ ขาย เช่า อสังหาริมทรัพย์
ยอดสินเชื่อโดยประมาณ
รายละเอียดสินเชื่อ
ยอดสินเชื่อที่ต้องชำระต่อเดือนโดยประมาณ
฿ 0 / เดือน
฿ 0 เงินต้น
฿ 0 ดอกเบี้ย
ค่าใช้จ่ายที่อาจต้องมีเบื้องต้น
เงินดาวน์ทั้งหมด
฿ 0
เงินดาวน์
จำนวนสินเชื่อ ฿ 0 ในอัตรา 0% ของสินเชื่อต่อราคาบ้าน (Loan-to-value)
อสังหาฯ แนะนำ
คำถามที่พบบ่อย
ราคาขายของยูนิต ธารทอง 2 บางบัวทอง อยู่ที่ ฿1,200,000.
ราคาซื้อต่อ ตร.ม. ของ ธารทอง 2 บางบัวทอง อยู่ที่ ฿5,000 / ตารางเมตร.
Tจำนวนที่ต้องชำระหนี้ของยูนิต ธารทอง 2 บางบัวทอง โดยประมาณคือ ฿ 3,541 / เดือน ต่อเดือน.
ธารทอง 2 บางบัวทอง ตั้งอยู่ที่ บางรักใหญ่, บางบัวทอง, นนทบุรี บางรักใหญ่ บางบัวทอง นนทบุรี.
ค้นหาประกาศอื่นรอบๆ บางรักใหญ่
จากสิ่งที่คุณค้นหา คุณอาจจะสนใจตัวเลือกต่อไปนี้
ขายที่ดิน
สถานีรถไฟฟ้าใกล้โครงการ













