ลำปลายมาศ, Buri Ram
Lam Plai Mat, Lam Plai Mat, Buri Ram
฿14,013,000
Baht3,701.5
sqm (floor)
฿ 3,786
/ sqm (floor)

Photos

Map View
About this property
โกดังพร้อมใช้
- ที่ดินพร้อมสิ่งปลูกสร้าง สำหรับอยู่อาศัยและทำธุรกิจการเกษตร -
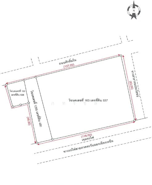
- รหัสทรัพย์สิน 62NE 0***** โฉนดเลขที่
163, 152, 1298 ตำบลลำปลายมาศ อำเภอลำปลายมาศ บุรีรัมย์
- ที่ดิน 3 แปลง ที่ดินหลายเหลี่ยม ติดถนน 2 ด้านทางทิศเหนือ หน้ากว้างติดถนนประมาณ 137 เมตร เนื้อที่ดินรวม 6-0-36.3 ไร่
- พิกัดที่ ละติดจูด 15.025982 ลองติจูด 102.830327
--------------------------------------------------------------------------------------ราคาพิเศษ Birthday Sale 2569 : 14,013,000 บาท
(ราคาใช้ได้ถึงวันที่ 31/05/2569) ราคาปกติ 18,135,000 บาท
--------------------------------------------------------------------------------------
- รหัสทรัพย์สิน 62NE 0***** โฉนดเลขที่
163, 152, 1298 ตำบลลำปลายมาศ อำเภอลำปลายมาศ บุรีรัมย์
- ที่ดิน 3 แปลง ที่ดินหลายเหลี่ยม ติดถนน 2 ด้านทางทิศเหนือ หน้ากว้างติดถนนประมาณ 137 เมตร เนื้อที่ดินรวม 6-0-36.3 ไร่
- พิกัดที่ ละติดจูด 15.025982 ลองติจูด 102.830327
--------------------------------------------------------------------------------------ราคาพิเศษ Birthday Sale 2569 : 14,013,000 บาท
(ราคาใช้ได้ถึงวันที่ 31/05/2569) ราคาปกติ 18,135,000 บาท
--------------------------------------------------------------------------------------
Estimated mortgage
Mortgage breakdown
Est. monthly repayment
฿ 0 / mo
฿ 0 Principal
฿ 0 Interest
Upfront costs
Total downpayment
฿ 0
Downpayment
฿ 0 Loan amount at 0% Loan-to-value
Recommendations
FAQs
The sale price of this unit at ลำปลายมาศ is ฿14,013,000.
Current PSM at ลำปลายมาศ is about ฿3,786 / sqm.
The estimated loan repayment is ฿ 41,355 / mo.
ลำปลายมาศ is located at Lam Plai Mat, Lam Plai Mat, Buri Ram Lam Plai Mat Lam Plai Mat Buri Ram.
Floor size of this unit at ลำปลายมาศ is 3,702 sqm.
Explore other options in and around Lam Plai Mat
Based on the property criteria, you might be interested on the following
Warehouse/Factory For Sale



















